Welche Selektionseinstellungen müssen getroffen werden damit die Darstellung der Selektion in der Feature/Current Map im WebOffice ePaper korrekt erfolgt?
Für die Einstellung der Selektion stehen Ihnen drei unterschiedliche Optionen zur Auswahl. Der nachfolgende Abschnitt zeigt, welches Ergebnis im Web und im Desktop mit welcher Einstellung erzielt wird.
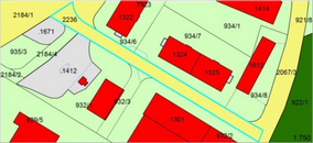
•Option: Using the selection color specified in Selection Options
Wenn Sie die Standardfarbe für Selektionen beibehalten, führt dies zu folgender Darstellung:

ArcMap / GeoOffice |
WebOffice |
Darstellung der Selektion in ArcMap / GeoOffice |
Darstellung der Selektion in WebOffice |
|
|
Mit GeoOffice ePaper erzeugt |
Mit WebOfficeePaper erzeugt |
|
|
Wenn Sie die Farbe der Selektion von der Standardfarbe auf z.B. pink ändern, führt dies zu folgender Darstellung:

ArcMap / GeoOffice |
WebOffice |
|
Darstellung der Selektion in ArcMap / GeoOffice |
Darstellung der Selektion in WebOffice |
|
|
|
|
Mit GeoOffice ePaper erzeugt |
Mit WebOfficeePaper erzeugt |
|
|
|
|
Wenn die Standardfarbe geändert wird die Selektion für ein im WebOffice erzeugtes ePaper trotzdem mit der Standardfarbe dargestellt.
•Option 2: With this symbol
Wenn Sie die Selektionseinstellung „with this symbol“ verwenden führt dies zu folgender Darstellung:

ArcMap / GeoOffice |
WebOffice |
|
Darstellung der Selektion in ArcMap / GeoOffice |
Darstellung der Selektion in WebOffice |
|
|
|
|
Mit GeoOffice ePaper erzeugt |
Mit WebOfficeePaper erzeugt |
|
|
|
|
Wenn diese Selektionseinstellung gewählt ist wird bei einem im WebOffice erzeugten ePaper die Selektion nicht dargestellt
•Option 3: With this color
Wenn Sie die Selektionseinstellung „with this color“ verwenden führt dies zu folgender Darstellung:

ArcMap / GeoOffice |
WebOffice |
Darstellung der Selektion in ArcMap / GeoOffice |
Darstellung der Selektion in WebOffice |
|
|
Mit GeoOffice ePaper erzeugt |
Mit WebOffice ePaper erzeugt |
|
|
Wenn Sie diese Selektionseinstellung verwenden wird die Selektion immer korrekt dargestellt.