What selection settings have to be done for the selection of the selection in the Feature / Current Map to be correctly displayed in WebOffice ePaper?
You have three different options to select from for setting the selection. The following section shows what result is achieved on the web and on the desktop with what setting.
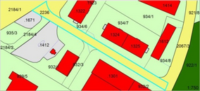
Option: Using the selection color specified in Selection Options
When you keep the default color for selections, this leads to following display:

Predefined selection setting and color
ArcMap / GeoOffice |
WebOffice |
Display of the selection in ArcMap / GeoOffice |
Display of the selection in WebOffice |
|
|
Created with GeoOffice ePaper |
Created with WebOffice ePaper |
|
|
If you change the color of the selection from the default color for instance to pink, this leads to the following display:

Changing the selection color to pink
ArcMap / GeoOffice |
WebOffice |
|
Display of the selection in ArcMap / GeoOffice |
Display of the selection in WebOffice |
|
|
|
|
Created with GeoOffice ePaper |
Created with WebOffice ePaper |
|
|
|
|
If the default color is changes, the selection for an ePaper created in WebOffice is still displayed with the default color.
Option 2: With this symbol
When you use the selection setting "with this symbol", this leads to following display:

Selection setting "With this symbol"
ArcMap / GeoOffice |
WebOffice |
|
Display of the selection in ArcMap / GeoOffice |
Display of the selection in WebOffice |
|
|
|
|
Created with GeoOffice ePaper |
Created with WebOffice ePaper |
|
|
|
|
If this selection setting is chosen, the selection will not be displayed for an ePaper created in WebOffice.
Option 3: With this color
When you use the selection setting "with this color", this leads to following display:

Selection setting "With this color"
ArcMap / GeoOffice |
WebOffice |
Display of the selection in ArcMap / GeoOffice |
Display of the selection in WebOffice |
|
|
Created with GeoOffice ePaper |
Created with WebOffice ePaper |
|
|
If you use this selection setting, the selection will always be correctly displayed.